HomeBuyersHomeHug
logo-image-test
Property image 1
Property image 2
Property image 3
Property image 4
Property image 5
Property image 6
Property image 7
Property image 8
Property image 9

ทรัพย์ บสส. รหัส TL0837 ทาวน์เฮ้าส์ ชลบุรี 1800000

ขาย

ทาวน์โฮม

1,800,000 ฿

area
24.8

ตร.ว

ติดต่อสอบถาม

อีเมล

เบอร์โทรศัพท์ *

ข้อความ (ไม่เกิน 120 ตัวอักษร)

ประเภท

ทาวน์โฮม

ที่ตั้ง

บ่อวิน ศรีราชา ชลบุรี

ขนาดที่ดิน

24.8 ตร.ว.

วันที่อัพเดทล่าสุด

9 เมษายน 2569

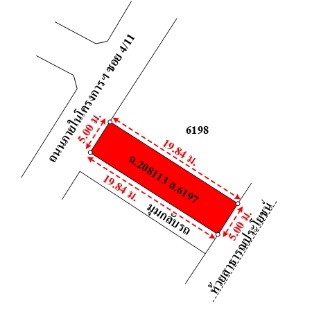
ที่ดินเป็นรูปสี่เหลี่ยมผืนผ้า ขนาดแปลงที่ดินด้านทิศตะวันตก ติดถนน กว้างประมาณ 5 ม. ลึกสุดประมาณ 19.84 ม.

บสส.รับโอนกรรมสิทธิ์สิ่งปลูกสร้าง ระบุเป็น ทาวน์เฮาส์สองชั้น เลขที่ 88/194

ถนนผ่านหน้าทรัพย์สิน ได้แก่ ถนนหมู่บ้านสมาร์ทแลนด์ นิวสไตล์ 2 ซอย 4/11 เป็นทางในโครงการจัดสรรที่ได้รับอนุญาตแล้ว ผิวจราจรคอนกรีต กว้างประมาณ 6 ม. เขตทางกว้างประมาณ 8 ม.
;

รายละเอียดยูนิต

พื้นที่ส่วนกลาง

คำนวณสินเชื่อ

ดูสินเชื่อที่เหมาะกับคุณ >

การคำนวณยอดผ่อนชำระสินเชื่อบ้าน

ปรับรายละเอียดด้านล่างเพื่อคำนวณยอดผ่อนชำระต่อเดือน

บาท
บาท
บาท
ปี
%
บาท